gumik napisał(a):Henq napisał(a):(...)Pierwszy skoro jedzie pasem wyprowadzającym to co zmienia? jedzie swoim pasem, przejeżdżając przez lewy na środkowy. I tak wjeżdżając na te pasy ma ustąpić pojazdom które już poruszają się po tych pasach, więc art 22.4 o zmianie pasa ruchu obowiązuje.(...)
Drugi skoro wjechal na pas środkowy to co przecina? Wybrał pas środkowy wjechał na niego i dalej nie ma linii wyprowadzających nie ma przecinających więc skoro chce wjechać na inny pas poprzeczny to co robi? art 22.4 obowiązuje(...)
To zapytam inaczej.
czyli tego też nie zrozumiałeś?
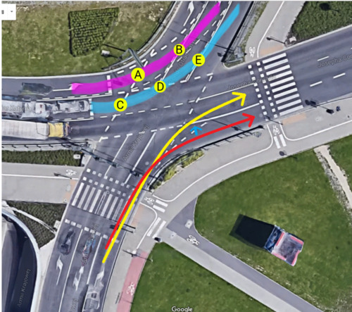
gumik napisał(a): W miejscach zaznaczonych na rysunku (A, B, C, D, E), przejeżdżający tamtędy pojazd zgodnie ze śladami różowym i niebieskim:
1) zmienia pas ruchu
2) przecina
3) inna odpowiedź.
Wybierz odpowiedź (1, 2 lub 3) do każdego przypadku (A, B, C, D, E).
a co na kursie nie uczyli? chociaż sądząc po wypowiedziach tego pseudoinstruktorka z warszafki to uczyli ale właśnie takich debilizmów jak on: zawracamy uwaga na trzy stosując art 22.2.2 Kierujący pojazdem jest obowiązany zbliżyć się do środka jezdni lub na
jezdni o ruchu jednokierunkowym do lewej jej krawędzi - jeżeli zamierza skręcić w lewo. Nie wiem idiota nie widzi czy nie chce widzieć, że tam jest o jezdni jednokierunkowej? co za buc.
ale skoro nie potrafisz załapać wcześniejszych opisów i obrazków proszę bardzo:
- -wjeżdża na pas ruchu (jak by się uparł to można to jeszcze podciągnąć pod przecinanie pas ruchu chociaż jest to trochę za przecięciem kierunków ruchu, ale jest kontynuacja pasa poprzecznego)
- -zmienia pas ruchu (to już nie jest kontynuacja pasa poprzecznego z przecięcia kierunków ruchu to jest linia nowego pasa ruchu) art 22.4 ustępuje pierwszeństwa jadącym pasem środkowym (przykład B ustępuje D jak ten pojedzie prosto środkowym
)
- -przecina pas ruchu (pas poprzeczny)
- -wjeżdża na pas ruchu (wybiera nowy pas ruchu po skręcie w lewo)
- -zmienia pas ruchu (to nie jest kontynuacja pasa poprzecznego z przecięcia kierunków ruchu to jest linia nowego pasa ruchu) art 22.4 ustępuje pierwszeństwa jadącym pasem środkowym
najprościej ogarnij miejsca przecinana się kierunków ruchu, tam zachodzi przecinanie pasów ruchu, miejsca poza nimi na skrzyżowaniu to już zmiana pasa ruchu
najlepiej chyba zilustruje to przykład:

pojazd A przecina linie pasów poprzecznych w czterech miejscach, a licząc tory tramwajowe w pięciu
następnie skręcając w lewo wybiera pas 3, lub 4, lub 5
a teraz zauważ pojazd B ma dwie strzałki skręcając w lewo

za każdym razem wjeżdża na pas 2,
teraz będąc już na pasie 2 może kontynuować jazdę dalej tym pasem albo jak druga strzałka wjechać na pas 1
ale co się dzieje w tym miejscu wjeżdżania na pas 1? Wjechał na pas 2 i chce wjechać na pas 1. Czy linie pasa 2 maja swoją kontynuację z przecięcia kierunków ruchu? czy się zaczynają? zaczynają się nowe pasy, wjechał na pas 2 i chce wjechać na pas równoległy 1, czyli zmienia pas ruchu art 22.4
Jak widzisz pojazd C również przeciął linie pasa poprzecznego i może jechać prosto, albo skręcić w lewo na pas 1
Pojazd C wybiera pas 1, i teraz pojazd B ma się zastosować jak wyżej do art 22.4 o zmianie pasa ruchu
gumik napisał(a):szerszon napisał(a):I na tym zakończę, ponieważ aby prawdziwie ocenić twą żenującą wiedzę musiałbym użyć mowy nienawiści

, a tego unikam.
Dobre!

widze zachwycasz się analfabetą który nie doczytał co to pas wyprowadzający, a zawracanie na trzy uzależnia od art 22.2.2? Parodia jaki poziom instruktorstwa

i coś takiego usiłuje tu dyskutować a co gorsze uczyć

Całe szczęście, że to coś kłamliwe i manipulujące ignoruje bo i tak nic nie pomaga tu na forum

Im lepszy samochód terenowy - tym traktor musi dalej jechać.